华南理工大学制浆造纸工程国家重点实验室王小英教授课题组针对纳米银的释放问题,开发了“火龙果”、“麻团”结构的碳球-纳米银抗菌剂,并以壳聚糖基质对其进行二次固定化。相关成果发表于《Food Chemistry》,题目为“Antibacterial chitosan composite films with food-inspired carbom spheres immobilized AgNPs”。吴正国博士为论文第一作者,唐淑玮博士生为共同一作,王小英教授、罗继文教授为共同通讯作者。
背景介绍
纳米银,一种光谱抗菌剂,可用于食品包装领域。然而,当纳米银直接添加到包装材料基质中时,大量游离纳米银的释放会对人体、包装体系产生影响。
为了解决以上问题,本课题组利用不同水热碳化技术,开发出“火龙果”、“麻团”结构的碳球-纳米银抗菌剂,并以壳聚糖基质对其进行二次固定化,获得稳定结构的壳聚糖/碳球-纳米银抗菌膜体系,该复合膜具有持久抗菌活性和安全性。
类火龙果、麻团结构碳球-纳米抗菌剂的构建
SEM/TEM显示,成功合成了固定/包覆纳米银的碳球-纳米银,且所获得抗菌剂具有优异的稳定性。

图1. AgNPs-SMCS的制备过程(a);AgNPs-SMCS的TEM图像(b、c),SEM图像(d、e)和元素映射(f,比尺为400 nm)。SMCS-Ag的原理制备(g)。SMCS-Ag的TEM图像(h、i),SEM图像(j、k)和元素映射(l,标尺为300 nm)。
抗菌剂中纳米银累积释放、抗菌效果分析
所制备的碳球-纳米银抗菌剂对纳米银均具有优异的稳定效果,显著降低了纳米银累积释放率。类麻团结构纳米抗菌剂、类火龙果结构抗菌剂均具有抗菌活性,且前者抗菌效果优于后者。另外这两种抗菌剂均有良好持久抗菌活性。

图2. AgNPs-SMCS(a)和SMCS-Ag(b)的抑菌机理示意图;AgNPs-SMCS和SMCS-Ag在pH 4.0(c)、6.9(d)和9.2(e)条件下的总银累积释放量;AgNPs-SMCS和SMCS-Ag分别在pH 4.0(f)、6.9(g)和9.2(h)条件下的Ag+累积释放。两种抗菌剂中银离子和总银释放量的比值(i)。AgNPs-SMCS、SMCS-Ag、Ag+抗菌活性(j)。AgNPs-SMCS、SMCS-Ag对金黄色葡萄球菌和大肠杆菌不同培养时间的抗菌活性(k)。DPBF与SMCS、AgNPs-SMCS、SMCS-Ag混合不同时间的紫外吸收比值(l);无AgNPs-SMCS和SMCS-Ag处理或添加AgNPs-SMCS和SMCS-Ag处理金黄色葡萄球菌和大肠杆菌的SEM图像(m)。
壳聚糖基复合膜结构分析
SEM结果显示,碳球-纳米银抗菌剂能够有效改善壳聚糖基复合膜的微观结构,使复合膜内部更加紧凑,从而提高其力学性能,显著改善其水蒸气、氧透过率。

图3. 壳聚糖基复合膜的微观结构示意图(a)和SEM图(b),CS膜、CS/SMCS-Ag复合膜:a0.5 (0.5% AgNPs-SMCS),a1.5 (1.5% AgNPs-SMCS),a2.5 (2.5% AgNPs-SMCS);CS/SMCS-Ag film:s0.5 (0.5% SMCS-Ag),s1.5 (1.5% SMCS-Ag),s2.5 (2.5% SMCS-Ag) 。
复合膜中纳米累计释放、抗菌活性分析
壳聚糖基质对抗菌剂的二次固定化,更一步提高了抗菌剂的稳定性,降低了纳米银的释放率。所获得碳球固定化纳米银/壳聚糖基复合膜(a2.5)、碳包覆纳米银/壳聚糖基复合膜(s2.5)均具有良好的抗菌活性。

图4. 纳米银从复合膜中释放示意图(a),碳球固定化纳米银/壳聚糖基复合膜(a2.5)、碳包覆纳米银/壳聚糖基复合膜(s2.5)中纳米银在pH 4.0、pH 6.9、pH 9.2环境的累积释放(b-d)。复合膜抗菌机理示意图(e-f),壳聚糖基膜针对金黄色葡萄球菌、大肠杆菌的抗菌活性分析,及抑菌圈数据(g-k):a0.5 (0.5% AgNPs-SMCS),a1.5 (1.5% AgNPs-SMCS),a2.5 (2.5% AgNPs-SMCS);CS/SMCS-Ag film (j, k):s0.5 (0.5% SMCS-Ag),s1.5 (1.5% SMCS-Ag),s2.5 (2.5% SMCS-Ag)。
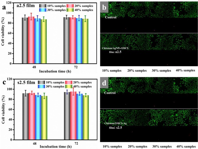
细胞毒性实验分析表明,所制备的两种壳聚糖基复合膜均具有优异安全性。

图4. 碳球固定化纳米银/壳聚糖基复合膜(a2.5)浸泡液细胞毒性分析:(a)浸泡液样品不同添加量的MTT实验48 h和72 h培养后细胞存活率,(b)72 h培养后细胞死/活荧光染色实验图像;碳包覆纳米银/壳聚糖基复合膜(s2.5)浸泡液细胞毒性分析:(a)浸泡液样品不同添加量的MTT实验48 h和72 h培养后细胞存活率,(b)72 h培养后细胞死/活荧光染色实验图像,数据以均值±误差表示(n=6)。
总结
采用绿色水热炭化技术制备了两种碳球-AgNPs抗菌剂,对AgNPs表现出优异的固定化效果,具有良好的持久抗菌活性。其固定化机理如下:对于AgNPs- SMCS,主要是由于碳球和AgNPs形成的活性触须结构位点的作用;而对于SMCS-Ag而言,与AgNPs相互作用不仅和触角活性位点的形成相关,还与外部碳基质的包封作用密切相关。所制备具有高的安全性和柔韧性壳聚糖基薄膜不仅是碳球-AgNPs的良好载体,而且进一步固定了AgNPs。此外,碳球-AgNPs也明显改善了薄膜的微观结构和性能。因此,所模拟碳球-AgNPs抗菌剂为AgNPs在食品包装材料中的安全应用提供了新的思路。
文章链接:https://doi.org/10.1016/j.foodchem.2021.130342