Nature:新型粘性水凝胶涂层!

我们首先来认识今天的主人公之一——Hyunwoo Yuk。他在麻省理工学院终身教授赵选贺老师的课题组攻读博士学位的五年间,发表了26篇SCI论文(其中7篇为第一作者,10篇为共同第一作者)。这些论文包括两篇Nature(1篇为第一作者,1篇为共同第一作者)、两篇Nature Materials(1篇为第一作者,1篇为共同第一作者),以及Nature Communications和Science Advances等子刊的8篇。他的论文发表数量不仅让许多学生望尘莫及,甚至在某些指标上也超过了一些资深导师。由于他在生物兼容水凝胶领域的卓越贡献,他于2019年被评为“30 under 30”精英榜单成员,成为冉冉升起的学术新星。

Hyunwoo Yuk的导师赵选贺教授(师从锁志刚院士)也是一位备受尊敬的学术大牛。赵教授是MIT的终身教授,研究领域涵盖机械、材料和生物技术,长期致力于推动人机交互和融合科技。他当前的研究重点之一是软材料科技在转化医学和水处理领域的应用。赵教授课题组的研究成果已经产生了广泛的社会影响。例如,课题组研制的高韧性水凝胶-弹性体复合材料作为人体组织模型,已经被美国大部分医院用于训练医生进行医学成像;他们开发的缓解关节疼痛的剪纸(Kirigami)绷带,每年也让成千上万的患者受益。赵教授获得的奖项和荣誉包括:NSF CAREER奖、ONR青年研究员奖、SES青年研究员奖章、ASME Hughes青年研究员奖、Adhesion Society青年科学家奖、Materials Today新星奖和Web of Science高被引科学家等。
Hyunwoo Yuk的成就离不开他自身的努力,但赵选贺教授的指导同样功不可没。毕竟,千里马常有,而伯乐不常有。
今天,Hyunwoo Yuk和赵选贺教授共同作为通讯作者,在《Nature》上发表了他们的最新研究成果,题为“Adhesive anti-fibrotic interfaces on diverse organs”。

当起搏器等医疗设备植入体内时,它们通常会引发免疫反应,导致植入物周围形成疤痕组织。这种疤痕被称为纤维化,会干扰设备的功能,并可能需要将其移除。
研究人员找到了一种简单而通用的方法,通过在设备上涂上水凝胶粘合剂来消除纤维化。这种粘合剂将设备粘合到组织上,并防止免疫系统对其进行攻击。研究人员发现,其他类型的水凝胶粘合剂也可以防止纤维化,他们相信这种方法不仅可以用于起搏器,还可以用于输送药物或治疗细胞的传感器或设备。研究人员还测试了一种含有壳聚糖(一种天然存在的多糖)的水凝胶粘合剂,发现这种粘合剂在动物研究中也消除了纤维化。
【材料合成与制备】
该粘合植入物由聚氨酯制成的模拟装置和由聚(丙烯酸)N-羟基琥珀酰亚胺酯和聚(乙烯醇)互穿网络组成的粘合层组成。这种成分确保与湿纸巾高度保形且稳定地结合。对于对照实验,通过在磷酸盐缓冲盐水浴中溶胀相同的模拟装置和粘合层来制备非粘合植入物,以去除粘合特性,同时保持化学成分。
对于长期电生理学研究,通过在聚氨酯层和粘合层或非粘合层之间集成金电极来制备植入式电极。金电极的表面用半胱胺盐酸盐进行功能化以增强粘附力。

图 1. 粘合抗纤维化界面
【功能】
组织学分析表明,粘性植入物与组织表面形成保形整合,在植入后84天内防止在各种器官中形成可观察到的纤维囊。另一方面,非粘性植入物显示出明显的纤维囊形成,与典型的异物反应一致。粘合层在亚细胞尺度上保持与间皮胶原层的整合,而非粘合界面则不然。
与非粘合界面相比,粘合植入物-组织界面的蛋白质吸附显着降低。这种较低水平的蛋白质吸附表明初始异物反应减少,并且是长期性能的一个有希望的指标。

图 2. 不同时间点粘合和非粘合种植体-组织界面的组织学分析
为了进一步研究他们的假设,他们对异物反应的关键参与者进行了一系列表征,包括体外蛋白质吸附测定、免疫荧光分析、定量PCR(qPCR)、Luminex定量和RNA测序分析。
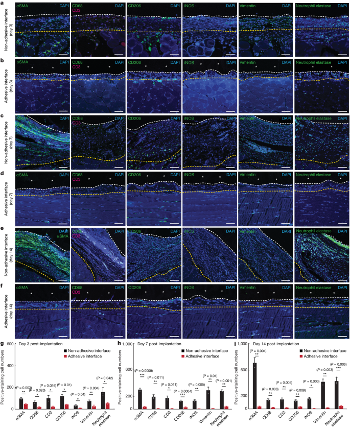
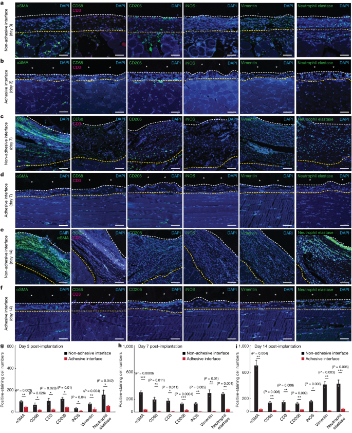
免疫荧光染色和定量PCR显示,在粘合种植体-组织界面处,关键炎症细胞(包括成纤维细胞、中性粒细胞、巨噬细胞和T细胞)的浸润减少。RNA测序证实了不同的基因表达谱,粘合界面表现出炎症和纤维化相关过程的减少。

图 3. 不同时间点粘合和非粘合种植体-组织界面的免疫荧光分析

图 4. 粘性和非粘性种植体-组织界面的 qPCR 和 Luminex 分析

图 5. 不同动物模型中的粘附抗纤维化界面
长期电生理学研究表明,具有粘合界面的电极在84天内保持与心脏的稳定结合和一致的R波幅度。与非粘性电极不同的是,心脏起搏所需的最小刺激电流脉冲幅度保持恒定,非粘性电极随着时间的推移表现出封装和功效降低。

图 6. 通过粘性抗纤维化界面实现长期体内双向电通讯
【总结】
该研究成功证明,粘性植入物-组织界面可以通过减少炎症细胞浸润和胶原沉积来显着减轻纤维囊的形成。粘合界面不仅提供与目标组织的机械整合,而且还保持长期功能,稳定的电生理性能证明了这一点。这些发现为开发长期抗纤维化植入物-组织界面提供了一种有前景的策略,解决了生物材料和医疗器械领域的关键挑战。
